| 価格 |
1,480万円 | 交通 | 東武伊勢崎線 「羽生」駅 徒歩18分 |
|---|---|---|---|
| 土地面積/坪数 | 232.00㎡ / 70.17坪 | 所在地 | 埼玉県羽生市大字中岩瀬 |
| 建ぺい率 | 60% | 容積率 | 200% |
売地
| 価格 |
1,480万円 | 交通 | 東武伊勢崎線 「羽生」駅 徒歩18分 |
|---|---|---|---|
| 土地面積/坪数 | 232.00㎡ / 70.17坪 | 所在地 | 埼玉県羽生市大字中岩瀬 |
| 建ぺい率 | 60% | 容積率 | 200% |
「利回り」は、当該不動産の1年間の予定賃料収入の不動産取得対価に対する割合であり、公租公課その他当該物件を維持するために必要な費用の控除前のものです。
また、予定賃料収入が確実に得られる事を保証するものではありません。

「売地 羽生市中岩瀬」:羽生市エリアの新居にピッタリ。土地の購入をご検討の方にお勧めの売地となっています。自分の好みの建物を建てるという点では、建築条件のない土地がおすすめです。あなたの住まいに求める条件をぜひ当社にお聞かせください。経験と知識豊富なスタッフがマイホームの夢を叶えるお手伝いをいたします。

※地図上の物件位置は近隣に物件が所在することを表すものであり、実際の物件所在地とは異なる場合がございます。
048-813-8825
営業時間:09:00~18:00 / 定休日:水曜日
| 所在地 | 埼玉県羽生市大字中岩瀬 | ||
|---|---|---|---|
| 交通 | 東武伊勢崎線 「羽生」駅 徒歩18分 | ||
| 価格 | 1,480万円 | 坪単価 | 21.09万円 |
| 土地面積 | 232.00㎡ | 建築条件 | 無 |
| 土地権利 | 所有権 | 建ぺい率/容積率 | 60%/ 200% |
| 私道負担面積 | セットバック | ||
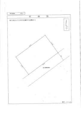
| 接道状況 | 一方 (南東側5.0m 間口19.7m) | ||
| 地目 | 田 | 地勢 | |
| 土地の権利形態 | 開発面積 | ||
| 都市計画 | 市街化区域 | 用途地域 | 第一種住居地域 |
| その他法令上の制限 | 景観法 | ||
| 国土法届出 | 不要 | 取引態様 | 売主 |
| 現況 | 更地 | 引渡し | 相談 |
| 設備条件 | 公共下水 / 公営水道 / 陽当り良好 | ||
| その他条件 | |||
| 備考 | ぜひ一度見ていただきたい、「売地 羽生市中岩瀬」です。土地購入をお考えの方に好条件の売地が多数あります。建築条件なしなので、自分で好きな業者を選ぶことができます。羽生市エリアでの不動産探しは、経験と知識豊富なスタッフの揃う当社にお任せください。不動産購入に関するあなたの不安を、スタッフが解決いたします。 | ||
| 周辺の学校 | 羽生市立岩瀬小学校(約1,591m / 徒歩20分)、羽生市立南中学校(約674m / 徒歩9分) | ||
| 物件番号 | 89503817 | ||
| 情報公開日 | 2026年5月17日 | 次回更新予定日 | 2026年5月31日 |
| 取引条件の有効期限 | 2026年5月31日 | ||
| 取扱い会社 |
小森設計株式会社 〒336-0017 埼玉県さいたま市南区南浦和2丁目40-12 埼玉県知事(9)第13293号 (公社)埼玉県宅地建物取引業協会会員 (公社)首都圏不動産公正取引協議会加盟 (公社)全国宅地建物取引業保証協会 |
||
048-813-8825
営業時間:09:00~18:00 / 定休日:水曜日
| 所在地 | 物件の住所を表示。(詳細住所は表示していない場合もある) | ||
|---|---|---|---|
| 交通 | 物件(部屋)の沿線駅・バス停を表示。(複数駅・バス停の利用が可能な場合は最大3件まで) | ||
| 間取り/詳細 | 数字は居室数を表示。LDKはそれぞれ「リビング」「ダイニング」「キッチン」、S(納戸)とは「納戸」「サービスルーム」「マルチルーム」「フリールーム」など建築基準法第28条に適合していないため、居室と認められない納戸その他の部分を表す。 | ||
| 価格 | 販売されている住戸の価格を表示。仲介手数料は含まない。 | ||
| 管理費 | 共同住宅の設備その他共用部分の維持および管理をするために必要な費用を表示。 | ||
| 修繕積立金 | 共用部分の修繕のために積立てる金額を表示。 | ||

売地
| 価格 | 1,280 万円 | ||
|---|---|---|---|
| 土地面積 | 371.82㎡ | 建築条件 | 無 |
| 土地坪数 | 112.47坪 | 坪単価 | 11.38万円 |
| 建ぺい率 | 60% | 容積率 | 200% |
| 住所 | 埼玉県羽生市北1丁目 | ||
| 交通 |
東武伊勢崎線「羽生」駅 徒歩12分
|
||
売地
| 価格 |
値下げ:2024/05/02 1,550 万円 | ||
|---|---|---|---|
| 土地面積 | 324.00㎡ | 建築条件 | 無 |
| 土地坪数 | 98坪 | 坪単価 | 15.81万円 |
| 建ぺい率 | 60% | 容積率 | 200% |
| 住所 | 埼玉県羽生市大字下岩瀬 | ||
| 交通 |
東武伊勢崎線「羽生」駅 徒歩14分
|
||
売地
| 価格 | 1,800 万円 | ||
|---|---|---|---|
| 土地面積 | 743.79㎡ | 建築条件 | 無 |
| 土地坪数 | 224.99坪 | 坪単価 | 8万円 |
| 建ぺい率 | 60% | 容積率 | 200% |
| 住所 | 埼玉県羽生市大字上新郷 | ||
| 交通 |
秩父鉄道「新郷」駅 徒歩3分
|
||
【前面道路含む現地写真】