| 価格 |
600万円 | 交通 | 東武伊勢崎線 「羽生」駅 徒歩22分 |
|---|---|---|---|
| 土地面積/坪数 | 217.00㎡ / 65.64坪 | 所在地 | 埼玉県羽生市大字下岩瀬 |
| 建ぺい率 | 60% | 容積率 | 200% |
売地
| 価格 |
600万円 | 交通 | 東武伊勢崎線 「羽生」駅 徒歩22分 |
|---|---|---|---|
| 土地面積/坪数 | 217.00㎡ / 65.64坪 | 所在地 | 埼玉県羽生市大字下岩瀬 |
| 建ぺい率 | 60% | 容積率 | 200% |
「利回り」は、当該不動産の1年間の予定賃料収入の不動産取得対価に対する割合であり、公租公課その他当該物件を維持するために必要な費用の控除前のものです。
また、予定賃料収入が確実に得られる事を保証するものではありません。

建築についてじっくり考えられるというメリットのある建築条件なし。60坪以上もある土地なので、自分なりに自由に設計が可能です。土地の購入をご検討の方にお勧めの売地となっています。不動産探しから購入、そしてその後までLIXIL不動産ショップ小森設計南浦和店が親切丁寧にサポートいたします。地域に熟知しているスタッフのそろう当社にぜひお任せください。

※地図上の物件位置は近隣に物件が所在することを表すものであり、実際の物件所在地とは異なる場合がございます。
048-813-8825
営業時間:09:00~18:00 / 定休日:水曜日
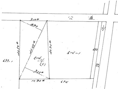
| 所在地 | 埼玉県羽生市大字下岩瀬 | ||
|---|---|---|---|
| 交通 | 東武伊勢崎線 「羽生」駅 徒歩22分 | ||
| 価格 | 600万円 | 坪単価 | 9.14万円 |
| 土地面積 | 217.00㎡ | 建築条件 | 無 |
| 土地権利 | 所有権 | 建ぺい率/容積率 | 60%/ 200% |
| 私道負担面積 | セットバック | ||
| 接道状況 | 一方 (北東側 公道2.7m) | ||
| 地目 | 宅地 | 地勢 | 平坦 |
| 土地の権利形態 | 開発面積 | ||
| 都市計画 | 市街化調整区域 | 用途地域 | 指定なし |
| その他法令上の制限 | |||
| 国土法届出 | 不要 | 取引態様 | 専任媒介 |
| 現況 | 更地 | 引渡し | 相談 |
| 設備条件 | |||
| その他条件 | |||
| 備考 | 建築条件なしなので、土地を購入した後はお好みのタイミングで住まいが建てられます。土地購入を考えている方、一度チェックして頂きたいのがこちらの売地です。ゆったりとした暮らしをお求めなら、60坪以上の土地はいかがでしょうか。あなたの住まいへ求める条件は何ですか。ぜひ住まいのプロである当社スタッフへ、あなたのこだわりをお聞かせください。住まい探しを全力でサポートいたします。 | ||
| 周辺の学校 | 羽生市立岩瀬小学校(約733m / 徒歩10分)、羽生南小学校(約2,050m / 徒歩26分) | ||
| 物件番号 | 82159864 | ||
| 情報公開日 | 2026年3月13日 | 次回更新予定日 | 2026年3月27日 |
| 取引条件の有効期限 | 2026年3月27日 | ||
| 取扱い会社 |
小森設計株式会社 〒336-0017 埼玉県さいたま市南区南浦和2丁目40-12 埼玉県知事(9)第13293号 (公社)埼玉県宅地建物取引業協会会員 (公社)首都圏不動産公正取引協議会加盟 (公社)全国宅地建物取引業保証協会 |
||
048-813-8825
営業時間:09:00~18:00 / 定休日:水曜日
| 所在地 | 物件の住所を表示。(詳細住所は表示していない場合もある) | ||
|---|---|---|---|
| 交通 | 物件(部屋)の沿線駅・バス停を表示。(複数駅・バス停の利用が可能な場合は最大3件まで) | ||
| 間取り/詳細 | 数字は居室数を表示。LDKはそれぞれ「リビング」「ダイニング」「キッチン」、S(納戸)とは「納戸」「サービスルーム」「マルチルーム」「フリールーム」など建築基準法第28条に適合していないため、居室と認められない納戸その他の部分を表す。 | ||
| 価格 | 販売されている住戸の価格を表示。仲介手数料は含まない。 | ||
| 管理費 | 共同住宅の設備その他共用部分の維持および管理をするために必要な費用を表示。 | ||
| 修繕積立金 | 共用部分の修繕のために積立てる金額を表示。 | ||

売地
| 価格 |
値下げ:2024/09/17 500 万円 | ||
|---|---|---|---|
| 土地面積 | 187.05㎡ | 建築条件 | 無 |
| 土地坪数 | 56.58坪 | 坪単価 | 8.84万円 |
| 建ぺい率 | 60% | 容積率 | 200% |
| 住所 | 埼玉県羽生市東3丁目 | ||
| 交通 |
東武伊勢崎線「羽生」駅 徒歩20分
|
||
売地
| 価格 | 520 万円 | ||
|---|---|---|---|
| 土地面積 | 132.53㎡ | 建築条件 | 無 |
| 土地坪数 | 40.09坪 | 坪単価 | 12.97万円 |
| 建ぺい率 | 60% | 容積率 | 200% |
| 住所 | 埼玉県羽生市大字羽生 | ||
| 交通 |
東武伊勢崎線「羽生」駅 徒歩14分 秩父鉄道「西羽生」駅 徒歩11分
|
||
売地
| 価格 | 680 万円 | ||
|---|---|---|---|
| 土地面積 | 165.00㎡ | 建築条件 | 無 |
| 土地坪数 | 49.91坪 | 坪単価 | 13.62万円 |
| 建ぺい率 | 80% | 容積率 | 200% |
| 住所 | 埼玉県羽生市東6丁目 | ||
| 交通 |
東武伊勢崎線「羽生」駅 徒歩18分 秩父鉄道「羽生」駅 徒歩18分
|
||
売地
| 価格 | 780 万円 | ||
|---|---|---|---|
| 土地面積 | 164.55㎡ | 建築条件 | 無 |
| 土地坪数 | 49.77坪 | 坪単価 | 15.67万円 |
| 建ぺい率 | 60% | 容積率 | 200% |
| 住所 | 埼玉県羽生市南6丁目 | ||
| 交通 |
東武伊勢崎線「羽生」駅 徒歩19分
|
||
【外観】